283
Kiel Hbf 0,0 - Ascheberg (Holst) 26,69 - Eutin 47,74 - Neustadt (Holst) Gbf 62,34 - Neustadt (Holst) 63,31 (1949)
Kiel Hbf 0,04 - Ascheberg (Holst) 26,70 - Eutin 47,74 - Streckenunterbrechung - Neustadt (Holst) Gbf 62,34 - Neustadt (Holst) 63,30 (1984)
Kiel Hbf 0,04 - Ascheberg (Holst) 26,78 - Eutin 47,74 - Streckenunterbrechung - Abzw Neustadt (Holst) Gbf 62,43 - Neustadt (Holst) 63,30 (2002)

Auszug Streckenkarte 1938
Quelle: [1]
Stand der Kilometrierung: 1931
[Hamburg-Altona 0,0 (alt)/0,7 (neu) - Neumünster 74,66] - Ascheberg (Holst) 100,11 - Kiel Hbf 126,81
[Hamburg-Altona 0,0 (alt)/0,7 (neu)] - Neumünster 74,66 - Ascheberg (Holst) 100,11 - Neustadt (Holst) 136,75
Stand der Kilometrierung: 1949
Kiel Hbf 0,0 - Ascheberg (Holst) 26,69 - Eutin 47,74 - Neustadt (Holst) Gbf 62,34 - Neustadt (Holst) 63,31
| Kiel Hbf | 0,00 | km 105,59 der Strecke [Hamburg-Altona 0,70] - Neumünster 74,66 - Kiel Hbf 105,30 |
| km 0,00 der Strecke Kiel Hbf 0,04 - Osterrönfeld 31,08 | ||
| km 0,00 der Strecke Kiel Hbf 0,04 - Flensburg 80,64 | ||
| km 0,04 der Strecke Kiel Hbf 0,04 - Kiel West 3,46 | ||
| Abzw Ss | 2,48 | km 103,79 der Strecke [Hamburg-Altona 0,70 - Neumünster 74,66) - Meimersdorf 100,0 - Abzw Ss 103,79 |
| Verbindungsgleis zur Strecke Kiel Klbf 0,0 - Schönberger Strand 24,1 (Kleinbahn Kiel - Schönberg) und zur Strecke Kiel Klbf 0,0 - Wankendorf Klbf 24,8 - Bad Segeberg 51,0 (Kleinbahn Kiel - Segeberg)] | ||
| Kiel-Elmschenhagen | 5,30 | |
| Raisdorf | 9,52 | |
| Preetz | 15,37 | |
| Kühren (Holst) | 19,14 | |
| Wahlstorf | 21,65 | |
| Ascheberg (Holst) | 26,69 | km 100,12 der Strecke [Hamburg-Altona 0,74] - Neumünster 74,67 - Ascheberg (Holst) 100,11 |
| Plön | 33,05 | |
| Timmdorf | 38,68 | |
| Malente-Gremsmühlen | 42,40 | km 0,11 der Strecke Malente-Gremsmühlen 0,11 - Lütjenburg 17,25 |
| Eutin | 47,74 | km 0,0 der Strecke Eutin 0,0 - Bad Schwartau 26,94 - Abzw Wr 28,04 - Lübeck Hbf 32,96 |
| Röbel | 53,53 | |
| Bujendorf | 55,49 | |
| Neustadt (Holst) | 63,31 | km 23,45 der Strecke Bad Schwartau 0,0 - Neustadt (Holst) 23,45 |
| km 0,0 der Strecke Neustadt (Holst) 0,0 - Heiligenhafen 43,35 |
Stand der Kilometrierung: 1984
Kiel Hbf 0,04 - Ascheberg (Holst) 26,70 - Eutin 47,74 - Streckenunterbrechung - Neustadt (Holst) Gbf 62,34 - Neustadt (Holst) 63,30
| Kiel Hbf | 0,04 | km 105,59 der Strecke [Hamburg-Altona 0,74] - Neumünster 74,69 - Kiel Hbf 105,59 |
| km 0,04 der Strecke Kiel Hbf 0,04 - Osterrönfeld 30,92 | ||
| km 0,04 der Strecke Kiel Hbf 0,04 - Flensburg 80,64 | ||
| km 0,04 der Strecke Kiel Hbf 0,04 - Kiel West 3,46 | ||
| Abzw Ss | 2,48 | km 103,79 der Strecke [Hamburg-Altona 0,74 - Neumünster 74,69) - Kiel-Meimersdorf, Stw Meg, W 46 100,95 - Abzw Ss 103,79 |
| Verbindungsgleis zur Strecke Kiel Klbf 0,0 - Schönberger Strand 24,1 (Kleinbahn Kiel - Schönberg) | ||
| Abzw | 2,6 | km 0,0 der Anschlussbahn nach Kiel-Wellsee |
| Kiel-Elmschenhagen | 5,31 | |
| Raisdorf | 9,52 | |
| Preetz | 15,38 | |
| Kühren (Holst) | 19,18 | |
| Ascheberg (Holst) | 26,70 | km 100,12 der Strecke [Hamburg-Altona 0,74] - Neumünster 74,67 - Ascheberg (Holst) 100,12 |
| Plön | 33,06 | |
| Timmdorf | 38,66 | |
| Malente-Gremsmühlen | 42,41 | km 0,11 der Strecke Malente-Gremsmühlen 0,11 - Lütjenburg 17,25 |
| Eutin | 47,74 | km 0,0 der Strecke Eutin 0,0 - Bad Schwartau 26,93 |
| Streckenunterbrechung | ||
| Neustadt (Holst) Gbf | 62,34 | km 29,39 der Strecke Lübeck Hbf 0,0 - Puttgarden 88,59 |
| Neustadt (Holst) | 63,30 |
Stand der Kilometrierung: 2002
Kiel Hbf 0,04 - Ascheberg (Holst) 26,78 - Eutin 47,74 - Streckenunterbrechung - Abzw Neustadt (Holst) Gbf 62,43 - Neustadt (Holst) 63,30
| Kiel Hbf | 0,04 | km 105,59 der Strecke [Hamburg-Altona 0,71] - Neumünster 74,69 - Kiel Hbf 105,59 |
| km 0,04 der Strecke Kiel Hbf 0,04 - Osterrönfeld 31,11 | ||
| km 0,04 der Strecke Kiel Hbf 0,04 - Flensburg 80,64 | ||
| Abzw Ss | 2,48 | km 103,79 der Strecke [Hamburg-Altona 0,74 - Neumünster 74,69) - Kiel-Meimersdorf, Stw Meg, W 46 100,95 - Abzw Ss 103,79 |
| Verbindungsgleis zur Strecke Kiel Süd 0,16 - Schönberger Strand 24,1 | ||
| Abzw | 2,6 | km 0,0 der Anschlussbahn nach Kiel-Wellsee |
| Raisdorf | 9,52 | |
| Preetz | 15,38 | |
| Ascheberg (Holst) | 26,78 | |
| Plön | 33,06 | |
| Malente-Gremsmühlen | 42,41 | |
| Eutin | 47,74 | km 0,0 der Strecke Eutin 0,0 - Bad Schwartau 26,93 |
| Streckenunterbrechung | ||
| Abzw Neustadt (Holst) Gbf | 62,43 | km 29,47 der Strecke Lübeck Hbf 0,0 - Puttgarden 88,59 |
| Neustadt (Holst) | 63,30 |

km 0,4 in Kiel Hbf
Foto: Heinz Treber, 04.05.2014

km 0,6 in Kiel Hbf
Foto: Heinz Treber, 29.05.2014

km 1,2 zwischen Kiel Hbf und Kiel Hbf, Abzw Ss - 218 413
km 104,3 gehört zur Strecke (Hamburg-Altona 0,74) - Meimersdorf Abzw Mw 100,17 - Kiel Abzw Hg 105,32
Foto: Stefan Motz, 09.09.2012

km 1,5 zwischen Kiel Hbf und Kiel Hbf, Abzw Ss - 648 349
Foto: Stefan Motz, 13.07.2016

km 2,0 (2 Tafeln und 1 Stein) zwischen Kiel Hbf und Kiel Hbf, Abzw Ss - 648 465 und 648 958
Foto: Stefan Motz, 05.01.2017

Kiel Hbf, Abzw Ss
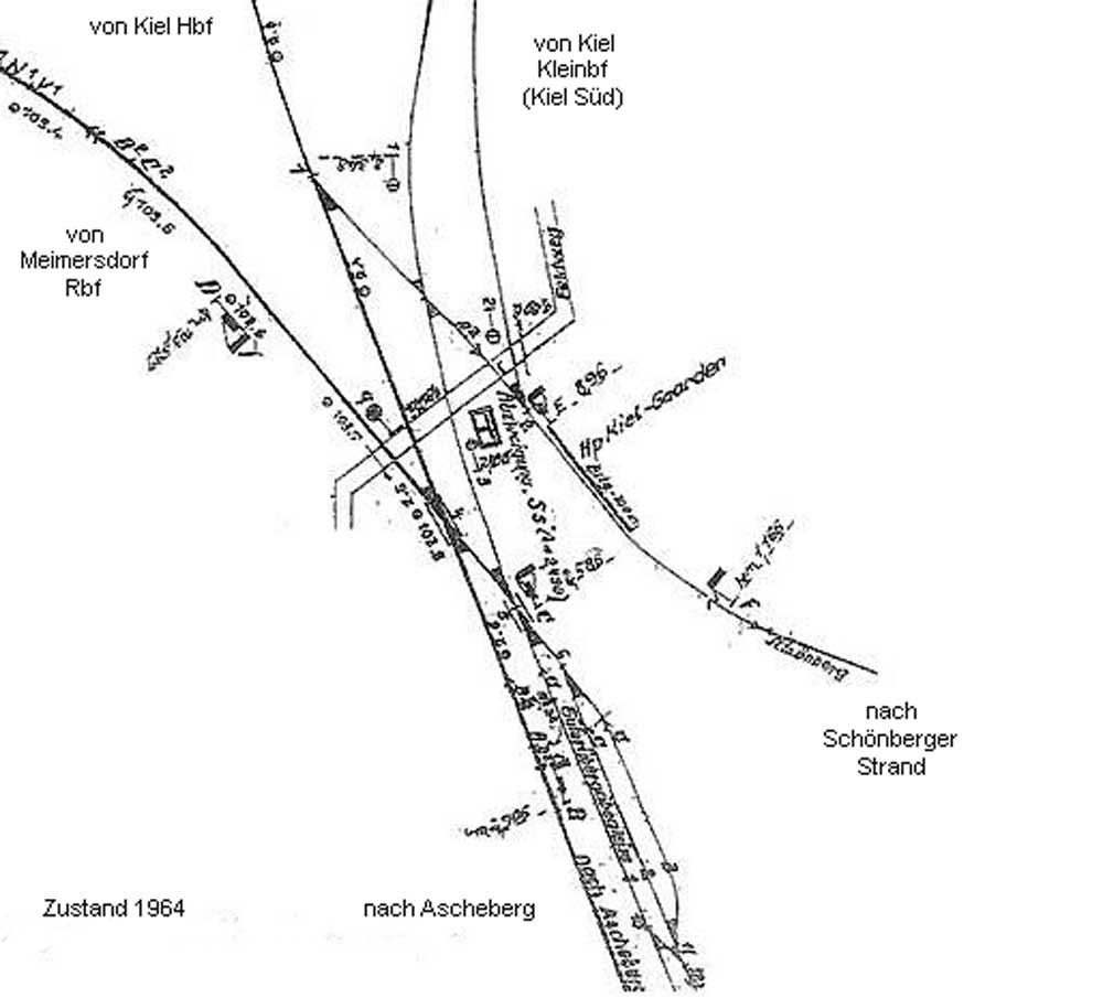
Zustand 1964
Quelle: Sporenplan

Kiel Hbf, Abzw Ss
Foto: Dieter Riehemann, 10.05.1983

Kiel Hbf, Abzw Ss - Lageplanauszug ca. 1992
Quelle: DSO

Kiel Hbf, Abzw Ss
Foto: Dieter Riehemann, 10.09.1996

Kiel Hbf, Abzw Ss
Der Zug befindet sich auf der Strecke Kiel Hbf - Ascheberg,
das Gleis in Blickrichtung führt zum Schöneberger Strand, ganz links das Gleis zum Bf Kiel Süd/Kleinbf.
Foto: Georg Sattler, 1994

km 2,5 am Abzw Ss
Foto: Stefan Motz, 03.02.2016

km 2,6 am Abzw Ss
Foto: Christoph Arndt

bei km 2,6 - Stein 0,0 der Anschlussbahn nach Kiel-Wellsee
Foto: Martin Drube, 21.06.2014

km 7,8 (versteckt) vor Raisdorf - 218 339
Foto: Martin Drube

km 8,1 bei Raisdorf - 218 333 mit RB 21496
Foto: Martin Drube, April 2015
km 9,4 in Raisdorf - Blick Richtung Kiel
Foto: Christoph Arndt, 02.03.1989

km 9,4 (Stein und Tafel) in Raisdorf
Foto: Heinz Treber, 21.05.2018

km 9,4 (Stein und Tafel) in Raisdorf
Foto: Heinz Treber, 21.05.2018

km 9,8 bei Raisdorf
Foto: Alberto Brosowsky, 2000

km 10,2 bei Raisdorf
Foto: Alberto Brosowsky, 2000

km 10,5 bei Raisdorf - 218 453 schiebt die RB 21496
Foto: Martin Drube, 03.06.2014

km 10,9 und 3 x km 11,0 zwischen Raisdorf und Preetz - 218 333
Foto: Andreas Melchert, Juni 2017

3 x km 11,0 zwischen Raisdorf und Preetz - VT 648 456 als RB 84
Foto: Martin Drube, 07.04.2015

km 12,1 zwischen Raisdorf und Preetz - 218 407 mit RB 21492
Foto: Martin Drube, 04.06.2014

4 Hektometersteine auf einem Bild
km 12,1; km 12,2; km 12,3 und km 12,4
Foto: Martin Drube, 04.06.2014

km 12,4 zwischen Raisdorf und Preetz
Foto: Martin Drube, 05.06.2015

km 12,7 zwischen Raisdorf und Preetz - 218 333 mit RE 21624
Foto: Martin Drube, 05.06.2015

km 12,7 zwischen Raisdorf und Preetz - 218 333 und 218 330
Foto: Martin Drube, 14.07.2015

km 13,1 zwischen Raisdorf und Preetz - 928 215
Foto: Stefan Motz, 13.11.2007

km 13,2 zwischen Raisdorf und Preetz
Foto: Stefan Motz, 25.05.2016

km 13,4 zwischen Raisdorf und Preetz - 648 342
Foto: Stefan Motz, 26.05.2016

km 14,0 zwischen Raisdorf und Preetz
Foto: Heinz Treber, 21.05.2018

km 14,0 zwischen Raisdorf und Preetz
Foto: Heinz Treber, 21.05.2018

km 14,0 zwischen Raisdorf und Preetz
Foto: Heinz Treber, 21.05.2018

km 14,2; km 14,3 und km 14,4 zwischen Raisdorf und Preetz
Foto: Heinz Treber, 21.05.2018

km 14,2; km 14,3 und km 14,4 zwischen Raisdorf und Preetz
Foto: Heinz Treber, 21.05.2018

km 14,4 und km 14,5 zwischen Raisdorf und Preetz
Foto: Heinz Treber, 21.05.2018

km 14,5 zwischen Raisdorf und Preetz
Foto: Heinz Treber, 21.05.2018

km 14,6 zwischen Raisdorf und Preetz
Foto: Heinz Treber, 21.05.2018

km 15,0 und km 15,2 in Preetz
Foto: Heinz Treber, 15.05.2016

bei km 15,3 in Preetz
Rechts neben dem Signal ist ein Stein zu erkennen.
Foto: Heinz Treber, 15.05.2016

km 15,3 in Preetz
Foto: Heinz Treber, 15.05.2016

km 15,3 in Preetz
Foto: Heinz Treber, 15.05.2016

Preetz
Foto: Heinz Treber, 15.05.2016

Preetz
Foto: Heinz Treber, 15.05.2016

km 15,6 in Preetz
Foto: Heinz Treber, 15.05.2016
BÜ km 19,298 in Kühren (Holst)
Foto: Christoph Arndt, 02.03.1988

km 22,6 zwischen Wahlstorf und Ascheberg (Holst)
Foto: Georg Sattler, 1994

km 26,5 in Ascheberg (Holst)
Foto: Heinz Treber, 26.03.2016

km 26,5 in Ascheberg (Holst)
Foto: Heinz Treber, 26.03.2016

km 26,6 in Ascheberg (Holst)
Foto: Heinz Treber, 26.03.2016

km 26,6 in Ascheberg (Holst)
Foto: Heinz Treber, 26.03.2016

km 26,6 in Ascheberg (Holst)
Foto: Heinz Treber, 26.03.2016

Ascheberg (Holst)
Foto: Heinz Treber, 26.03.2016

Ascheberg (Holst)
Foto: Heinz Treber, 26.03.2016

km 26,8 in Ascheberg (Holst)
Foto: Heinz Treber, 26.03.2016

km 26,8 in Ascheberg (Holst)
Foto: Heinz Treber, 26.03.2016

km 26,8 in Ascheberg (Holst)
Foto: Heinz Treber, 26.03.2016

km 26,8 in Ascheberg (Holst)
Foto: Heinz Treber, 26.03.2016
km 26,8 in Ascheberg (Holst)
Foto: Alberto Brosowsky, 07.07.2023

km 27,0 in Ascheberg (Holst) - Blick Richtung Neustadt (Holst)
Foto: Heinz Treber, 26.05.2022

km 27,0 und km 27,2 in Ascheberg (Holst) - Blick Richtung Neustadt (Holst)
Foto: Heinz Treber, 26.05.2022

bei km 27,0 in Ascheberg (Holst) - Blick Richtung Kiel
Foto: Heinz Treber, 26.05.2022
km 27,0 (Stein rechts, Tafel links) in Ascheberg (Holst) mit Stellwerk Ao - Blick Richtung Kiel
Foto: Christoph Arndt

km 27,2 in Ascheberg (Holst) - Blick Richtung Neustadt (Holst)
Foto: Heinz Treber, 26.05.2022

zwischen Ascheberg (Holst) und Plön - Blick Richtung Neustadt
218 330
Der Stein rechts befindet sich bei km 28,73.
Es handelt sich wahrscheinlich um km 102,1 der bis 1949 gültigen Kilometrierung.
Foto: Steffen Schott, 23.06.2022

km 31,8 zwischen Ascheberg (Holst) und Plön
Foto: Frank Poppe, 25.05.2021

Zwischen den Kilometertafeln km 31,8 und km 32,0 befindet sich noch der Stein
km 105,3
Er stammt noch von der vor 1949 gültigen Kilometrierung
[Hamburg-Altona 0,0 (alt)/0,7 (neu)] - Neumünster 74,66 - Ascheberg (Holst) 100,11 - Neustadt (Holst) 136,75
Foto: Stefan Motz, 17.06.2017

Zwischen den Kilometertafeln km 31,8 und km 32,0 befindet sich noch der Stein
km 105,3
Er stammt noch von der vor 1949 gültigen Kilometrierung
[Hamburg-Altona 0,0 (alt)/0,7 (neu)] - Neumünster 74,66 - Ascheberg (Holst) 100,11 - Neustadt (Holst) 136,75
Foto: Frank Poppe, 25.05.2021
c
km 32,0 bei Plön - Im Hintergrund das Plöner Schloß
Foto: Heinz Treber, 27.05.2012

km 32,0 bei Plön - Im Hintergrund das Plöner Schloß
218 330
Foto: Steffen Schott, 23.06.2022

km 32,6 in Plön
Foto: Frank Poppe, 25.05.2021

km 33,0 in Plön - Blick Richtung Neustadt (Holst)
Foto: Daniel Kahns, März 2021

km 33,0 in Plön - Blick Richtung Kiel
Foto: Gerd Manske, Juni 1990

km 33,0 in Plön - Blick Richtung Kiel
50 3688 mit einer Sonderfahrt
Foto: Detlef Schikorr, 18.05.1997

km 33,0 in Plön - Blick Richtung Kiel
Foto: Daniel Kahns, März 2021

Plön
Foto: Heinz Treber, 05.06.2017
km 33,2 in Plön - Blick Richtung Neustadt (Holst)
Foto: Christoph Arndt, 17.02.2002

km 33,2 in Plön
Foto: Heinz Treber, 05.06.2017

km 33,4 in Plön
Foto: Stefan Motz, 19.05.2016

km 33,4 in Plön
Foto: Heinz Treber, 05.06.2017

km 33,4 in Plön
Foto: Heinz Treber, 05.06.2017

km 33,4 in Plön
Foto: Heinz Treber, 05.06.2017

km 36,5 zwischen Plön und Malente-Gremsmühlen
Foto: Jörn Schramm, 01.09.2004

km 40,0 zwischen Timmdorf und Bad Malente-Gremsmühlen - 218 330
Foto: Daniel Kahns, Juli 2019

km 41,7 bei Bad Malente-Gremsmühlen
Foto: Stefan Motz, 22.01.2016

km 42,0 bei Bad Malente-Gremsmühlen
Foto: Norbert Basner, 2017

km 42,0 bei Bad Malente-Gremsmühlen
Foto: Norbert Basner, 2017

km 42,1 bei Bad Malente-Gremsmühlen
Foto: Stefan Motz, 22.01.2016

km 42,2 (Stein und Tafel) bei Bad Malente-Gremsmühlen
Foto: Norbert Basner, 2017

km 42,2 (Stein und Tafel) bei Bad Malente-Gremsmühlen
Foto: Heinz Treber, 21.05.2018

km 42,2 bei Bad Malente-Gremsmühlen
Foto: Heinz Treber, 21.05.2018

km 42,2 (Stein und Tafel) bei Bad Malente-Gremsmühlen
Foto: Heinz Treber, 21.05.2018

km 42,2 bei Bad Malente-Gremsmühlen
Foto: Heinz Treber, 21.05.2018

km 42,3 in Bad Malente-Gremsmühlen
Foto: Heinz Treber, 21.05.2018

km 42,3 in Bad Malente-Gremsmühlen
Foto: Heinz Treber, 21.05.2018

km 42,3 in Bad Malente-Gremsmühlen
Foto: Heinz Treber, 21.05.2018

km 42,4 in Bad Malente-Gremsmühlen
Foto: Heinz Treber, 05.06.2017

km 42,4 in Bad Malente-Gremsmühlen
Foto: Heinz Treber, 05.06.2017

km 42,4 in Bad Malente-Gremsmühlen
Foto: Heinz Treber, 21.05.2018

km 42,4 in Bad Malente-Gremsmühlen
Foto: Heinz Treber, 21.05.2018

km 42,6 in Bad Malente-Gremsmühlen
Foto: Rainer Butenschön, Oktober 1997
km 42,6 in Bad Malente-Gremsmühlen - Blick Richtung Kiel
41 360
Foto: Christoph Arndt, 04.06.1988

km 42,6 in Bad Malente-Gremsmühlen - 218 106
Foto: Wolf-Dietmar Loos, 22.04.2009

km 42,6 in Bad Malente-Gremsmühlen
Foto: Heinz Treber, 21.05.2018

km 42,6 in Bad Malente-Gremsmühlen
Foto: Heinz Treber, 21.05.2018

km 42,6 und km 42,8 in Bad Malente-Gremsmühlen
Foto: Heinz Treber, 21.05.2018

km 42,7 (Stein) und km 42,8 (Tafel) in Bad Malente-Gremsmühlen
Foto: Heinz Treber, 21.05.2018

km 43,4 bei Bad Malente-Gremsmühlen
Foto: Heinz Treber, 21.05.2018

km 43,6 bei Bad Malente-Gremsmühlen
Foto: Heinz Treber, 21.05.2018

km 45,8 zwischen Bad Malente-Gremsmühlen und Eutin - 648 451
Foto: Uwe Kossebau, Juli 2018

km 47,0 in Eutin
913
Foto: Axel, 24.03.1982
km 47,6 in Eutin
Foto: Christoph Arndt

km 47,6 in Eutin
Foto: Heinz Treber, 29.09.2015

km 47,6 in Eutin
Foto: Heinz Treber, 29.09.2015

km 47,8 in Eutin
Foto: Daniel Kahns, September 2018

km 47,8 in Eutin
Foto: Tobias Brauer, 12.01.2024

Eutin
Foto: Heinz Treber, 29.09.2015

Eutin
Foto: Heinz Treber, 29.09.2015

km 48,0 in Eutin
Foto: Heinz Treber, 29.09.2015

km 48,0 in Eutin
Foto: Heinz Treber, 29.09.2015

km 48,0 (Tafel und Stein) in Eutin
Foto: Heinz Treber, 29.09.2015

km 48,0 (Tafel und Stein) in Eutin
Foto: Heinz Treber, 29.09.2015

km 48,0 (rechts) in Eutin
km 0,2 (links) gehört zur Strecke Eutin 0,0 - Bad Schwartau 26,93
Foto: Heinz Treber, 29.09.2015

km 48,0 (Stein) in Eutin
Foto: Christoph Arndt, Mai 1992

km 48,0 (Stein und Tafel) in Eutin
km 0,2 gehört zur Strecke Eutin 0,0 - Bad Schwartau 26,93
Foto: Heinz Treber, 29.09.2015

km 48,0 (Stein und Tafel) in Eutin
km 0,2 gehört zur Strecke Eutin 0,0 - Bad Schwartau 26,93
Foto: Heinz Treber, 29.09.2015

km 48,0 in Eutin
Foto: Daniel Kahns, 2017

km 48,3 bei Eutin
Foto: Tobias Brauer, 12.01.2024

km 48,4 in Eutin
Foto: Christoph Arndt, Mai 1979

km 49,0 in Eutin
Im Vordergrund das Gleis der Strecke Eutin 0,0 - Bad Schwartau 26,93
Foto: Daniel Kahns, September 2018

km 49,2 bei Eutin
Foto: Tobias Brauer, 12.01.2024

km 49,? bei Eutin
Foto: Tobias Brauer, 12.01.2024

km 49,? bei Eutin
Foto: Tobias Brauer, 12.01.2024

km 49,4 bei Eutin
Foto: Daniel Kahns, September 2018

km 49,4 bei Eutin
Foto: Daniel Kahns, September 2018

km 49,8 bei Eutin
Foto: Daniel Kahns, September 2018

km 49,8 bei Eutin
Foto: Daniel Kahns, September 2018

km 50,0 zwischen Eutin und Röbel - Blick Richtung Neustadt (Holstein)
Foto: Christoph Arndt, 02.04.1984
km 50,0 zwischen Eutin und Röbel - Blick Richtung Kiel
Foto: Christoph Arndt, 02.04.1984

km 51,0 zwischen Eutin und Röbel
798 778
Foto: Axel Spille, 03.04.1982
km 59,0 am ehemaligen Hp Oevelgönne zwischen Eutin und Neustadt (Holst) - Blick Richtung Kiel
Foto: Christoph Arndt, 31.05.1984

km 59,0 am ehemaligen Hp Oevelgönne zwischen Eutin und Neustadt (Holst)
Foto: Daniel Kahns, 2017

km 61,0 bei Neustadt (Holst)
Foto: Oliver Scharf, 2019
km 62,4 in Neustadt (Holst) Gbf - Blick Richtung Neustadt (Holst)
km 29,4 gehört zur Strecke Lübeck Hbf 0,0 - Puttgarden 88,59
Foto: Christoph Arndt, 11.03.2023

km 62,6 in Neustadt (Holst)
Foto: Tobias Brauer, 2019

km 62,7 in Neustadt (Holst)
Foto: Tobias Brauer, 2019
km 62,8 (Tafel und Stein) in Neustadt (Holst)
Foto: Alberto Brosowsky, 25.09.2023
km 62,8 (Stein) in Neustadt (Holst)
Detail
Foto: Alberto Brosowsky, 25.09.2023

km 63,0 bei Neustadt (Holst) - Blick Richtung Kiel
Auf dem vergrößerten Scan von 1995 sieht man
links die Abstellgruppe entlang der Trasse von 1866,
in der Mitte die noch heute im Betrieb befindliche Strecke,
rechts die Weiche der einst nach Oldenburg führenden Strecke.
Foto: Christoph Arndt, 1995

km 63,0 in Neustadt (Holst) - Blick Richtung Kiel
Foto: Tobias Brauer, 2019

km 63,0 in Neustadt (Holst)
Foto: Tobias Brauer, 2019

bei km 63,0 in Neustadt (Holstein)
Blick Ri Neustadt (Holst) Gbf - Kiel
Foto: Heinz Treber, 29.09.2015
bei km 63,0 bei Neustadt (Holst) - Blick Richtung Kiel
Im Hintergrund ist km 62,8 zu erkennen
Foto: Axel Spille, 2022
Einen sehr interessanten Bericht über die Streckenführung im Bereich Neustadt (Holst) hat Christoph Arndt zusammen gestellt.

km 63,2 in Neustadt (Holstein)
Foto: Tobias Brauer

Streckenende in Neustadt (Holstein)
Foto: Heinz Treber, 29.09.2015

km 1,6 (?) der Verbindungskurve von Neustadt (Holst) Pbf in Richtung Hasselburg an der Strecke Lübeck Hbf - Puttgarden
Foto: Tobias Brauer, 2019
| Startseite | Strecken in Deutschland (Tabelle1) | Strecken in Thüringen | Kilometrierung | Impressum |