Abzw Stralsund SRG 0,0 - Stralsund Rügendamm 2,23
Stand der Kilometrierung: 1949
Abzw Stralsund SRG 0,0 - Stralsund Rügendamm 2,23
Stand der Kilometrierung: 2019
Abzw Stralsund SRG, W 6, km -0,03 - Stralsund Rügendamm, W 11, km 2,431 (6324)
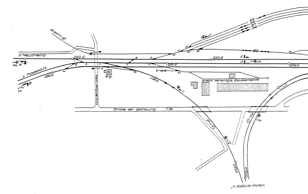
Teillageplan Stralsund, Abzw SRG; 1979
Quelle: Sporenplan
Abzw Stralsund SRG
Von links kommt die Srecke aus Richtung Stralsund Rügendamm
km 238,3 gehört zum Streckenast Angemünde - Stralsund der Stettiner Bahn
Foto: Matthias Manske, 21.05.2016
Abzw Stralsund SRG
Nach rechts verläuft die Strecke Richtung Stralsund Rügendamm
BÜ km 238,2 gehört zum Streckenast Angemünde - Stralsund der Stettiner Bahn
Foto: Matthias Manske, 21.05.2016
km 1,5 - Blick Richtung Abzw Stralsund SRG km 225,8 gehört zur
Nordbahn Berlin - Stralsund - Saßnitz Foto: Heinz Treber, 03.08.2021
km 2,0 in Stralsund Rügendamm - Blick Richtung Streckenende km 226,0 gehört zur
Nordbahn Berlin - Stralsund - Saßnitz Foto: Heinz Treber, 03.08.2021
km 2,0 in Stralsund Rügendamm Foto: Heinz Treber, 03.08.2021
km 2,2 in Stralsund Rügendamm - Blick Richtung Abzw Stralsund
SRG km 226,2 gehört zur
Nordbahn Berlin - Stralsund - Saßnitz
Foto: Dietmar Levie, 14.08.2020
km 2,2 in Stralsund Rügendamm - Blick Richtung Abzw Stralsund
SRG km 226,2 gehört zur
Nordbahn Berlin - Stralsund - Saßnitz Foto: Heinz Treber, 03.08.2021
km 2,2 in Stralsund Rügendamm - Blick Richtung Abzw Stralsund
SRG km 226,2 gehört zur
Nordbahn Berlin - Stralsund - Saßnitz Foto: Heinz Treber, 03.08.2021
km 2,2 in Stralsund Rügendamm - Blick Richtung Streckenende km 226,4 gehört zur
Nordbahn Berlin - Stralsund - Saßnitz Foto: Heinz Treber, 03.08.2021
km 2,2 in Stralsund Rügendamm - Blick Richtung Streckenende km 226,6 gehört zur
Nordbahn Berlin - Stralsund - Saßnitz
Foto: Dietmar Levie, 14.08.2020
km 2,2 in Stralsund Rügendamm - Blick Richtung Abzw Stralsund
SRG km 226,6 gehört zur
Nordbahn Berlin - Stralsund - Saßnitz Foto: Heinz Treber, 03.08.2021
Seitenanfang












Startseite
Strecken in
Deutschland (Tabelle1)
Strecken in Thüringen
Kilometrierung
Impressum